本日の釣果!!



月日 釣り場 仕掛け 釣果 釣り人 潮流 水温
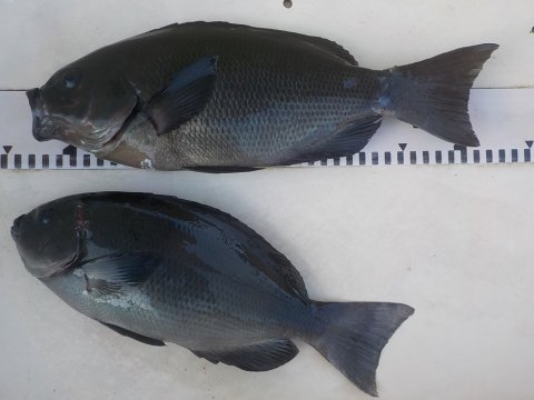
11月29日 3番クジ

ピストル
ふかせ グレ 31~35cm
2枚
徳島

大西さん
上り潮 22,9度