本日の釣果!!



月日 釣り場 仕掛け 釣果 釣り人 潮流 水温
1月8日  10時半~
4番クジ

新ホリ
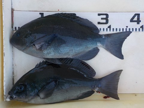
フカセ グレ 33~37cm
2枚
イサギ 27~28cm
2枚

アイゴ 31cm
1枚
徳島市

山中さん
下り潮 17,5

18,4度
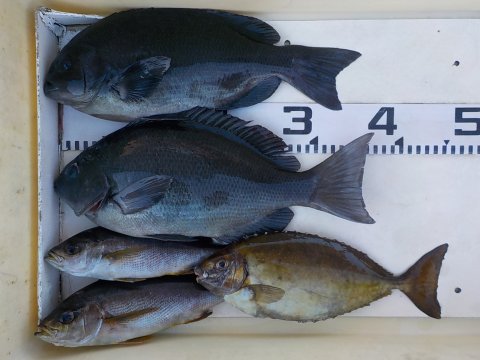
5番クジ

ゾウノハナ
グレ 33~37cm
2枚
匿名さん