本日の釣果!!
| 月日 | 釣り場 | 仕掛け | 釣果 | 釣り人 | 潮流 | 水温 |
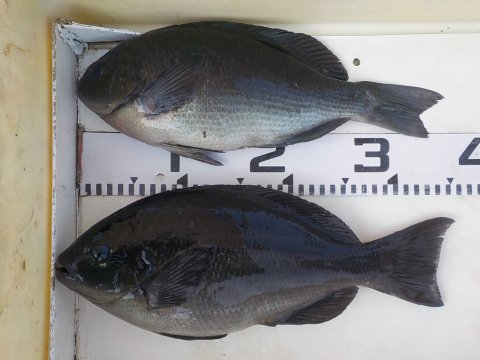
| 2月14日 | 5番クジ ゾウノハナ |
フカセ | グレ 35~36cm 2枚 |
淡路 本田さん |
上り潮 | 16,5 ~ 17,0度 |
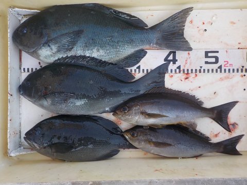
| 7番クジ カナワ |
グレ 32~45cm 3枚 イサギ 30~31cm 2枚 |
徳島EFC 吉見さん |
||||
| カワムラ | グレ 34~40cm 3枚 イサギ 30cm 1枚 |
徳島市 天野さん |
||||
| カブト | グレ 30~38cm 14枚 |
淡路 打越さん |
![]() |
![]() |
![]() |
![]() |