本日の釣果!!

月日 釣り場 仕掛け 釣果 釣り人 潮流 水温
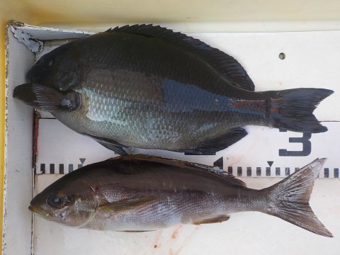
2月21日 11番クジ

オオバエ
西
フカセ グレ 32cm
1枚

イサギ 31cm
1枚
徳島EFC

吉見さん
下り潮 15,2

16,5度
12番クジ

1番
グレ 34cm
1枚
石井町

岡田さん