本日の釣果!!
| 月日 | 釣り場 | 仕掛け | 釣果 | 釣り人 | 潮流 | 水温 |
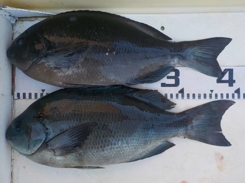
| 2月3日 | 10時半~ 5番クジ ヒジカケ |
グレ 34cm 1枚 イサギ 28~31cm 2枚 アイゴ 35~38cm 2枚 |
淡路 高倉さん |
上り潮 | 17,1 ~ 17,5度 |
|
| 10時半~ 9番クジ オシドリ |
グレ 38~40cm 2枚 |
加古川 森本さん |
||||
| マナイタ の地 |
グレ 41cm 1枚 イサギ 28cm 3枚 |
徳島EFC 宮本さん |
![]() |
![]() |
![]() |